關閉廣告
Alice的天空
跳到主文
部落格全站分類:
攝影寫真
相簿
部落格
留言
名片
公告版位
Dec
08
Sun
2019
16:30
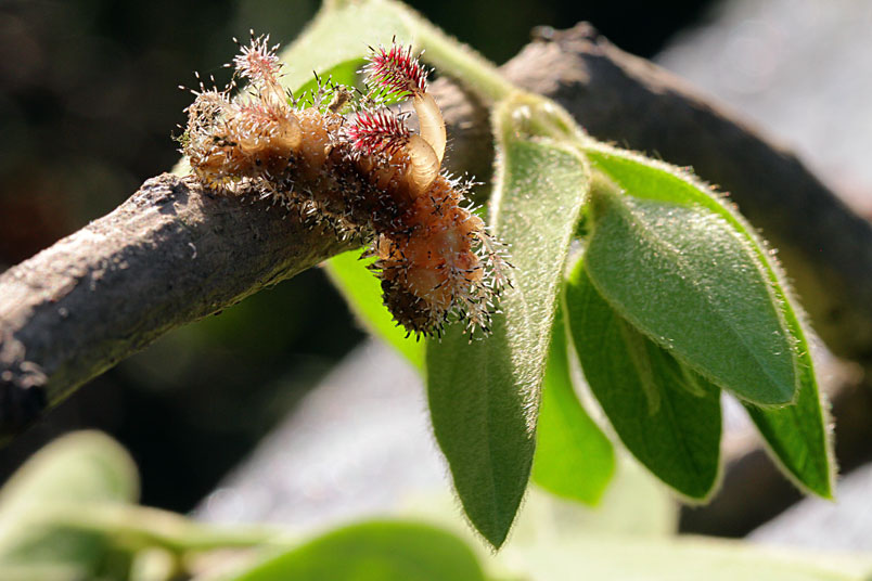
紫單帶蛺蝶終齡若蟲
紫單帶蛺蝶,幼蟲寄主忍冬,終齡若蟲體背密布棘刺,外貌十分特別。
全站熱搜
創作者介紹
Alice
Alice的天空
Alice 發表在
痞客邦
留言
(62)
人氣(
)
E-mail轉寄
留言列表
發表留言
活動快報
痞客邦...
看更多活動好康
站方公告
[公告] PIXwallet 系統維護通知(維護完畢)
[公告] PIXNET 刪除長期未登入帳號通知
[公告] 「行動管家」APP 已於 2024 年 5 月 22 日下架
熱門文章
文章分類
認識魚類 (7)
傳統節慶美食 (5)
詩詞欣賞 (12)
運動攝影 (1)
精彩活動 (16)
喜歡的歌 (4)
煙火拍攝 (2)
月食攝影 (1)
美食料理 (15)
美食料理 (4)
國外旅遊 (4)
大陸旅遊 (3)
人像攝影 (7)
可愛動物 (35)
花花草草 (1331)
烘焙作品 (3)
人文攝影 (63)
飛羽攝影 (194)
國內旅遊 (821)
心情故事 (92)
藝術表演 (13)
即興攝影 (29)
生態攝影 (325)
生態攝影 (2)
未分類文章 (2)
最新文章
動態訂閱
文章精選
文章精選
2025 十一月 (6)
2025 十月 (16)
2025 九月 (15)
2025 八月 (15)
2025 七月 (15)
2025 六月 (15)
2025 五月 (15)
2025 四月 (15)
2025 三月 (16)
2025 二月 (14)
2025 一月 (14)
2024 十二月 (16)
2024 十一月 (15)
2024 十月 (15)
2024 九月 (15)
2024 八月 (16)
2024 七月 (18)
2024 六月 (18)
2024 五月 (17)
2024 四月 (21)
2024 三月 (22)
2024 二月 (16)
2024 一月 (19)
2023 十二月 (22)
2023 十一月 (24)
2023 十月 (20)
2023 九月 (18)
2023 八月 (17)
2023 七月 (17)
2023 六月 (15)
2023 五月 (19)
2023 四月 (21)
2023 三月 (20)
2023 二月 (17)
2023 一月 (16)
2022 十二月 (15)
2022 十一月 (16)
2022 十月 (15)
2022 九月 (15)
2022 八月 (16)
2022 七月 (15)
2022 六月 (15)
2022 五月 (16)
2022 四月 (15)
2022 三月 (15)
2022 二月 (13)
2022 一月 (14)
2021 十二月 (16)
2021 十一月 (15)
2021 十月 (15)
2021 九月 (14)
2021 八月 (15)
2021 七月 (13)
2021 六月 (12)
2021 五月 (14)
2021 四月 (15)
2021 三月 (17)
2021 二月 (13)
2021 一月 (14)
2020 十二月 (16)
2020 十一月 (15)
2020 十月 (15)
2020 九月 (15)
2020 八月 (15)
2020 七月 (15)
2020 六月 (14)
2020 五月 (16)
2020 四月 (16)
2020 三月 (16)
2020 二月 (13)
2020 一月 (15)
2019 十二月 (22)
2019 十一月 (21)
2019 十月 (19)
2019 九月 (21)
2019 八月 (19)
2019 七月 (20)
2019 六月 (25)
2019 五月 (28)
2019 四月 (26)
2019 三月 (27)
2019 二月 (19)
2019 一月 (23)
2018 十二月 (26)
2018 十一月 (26)
2018 十月 (22)
2018 九月 (25)
2018 八月 (24)
2018 七月 (24)
2018 六月 (22)
2018 五月 (28)
2018 四月 (27)
2018 三月 (25)
2018 二月 (18)
2018 一月 (27)
2017 十二月 (26)
2017 十一月 (21)
2017 十月 (26)
2017 九月 (23)
2017 八月 (21)
2017 七月 (19)
2017 六月 (20)
2017 五月 (22)
2017 四月 (19)
2017 三月 (20)
2017 二月 (17)
2017 一月 (20)
2016 十二月 (23)
2016 十一月 (24)
2016 十月 (24)
2016 九月 (23)
2016 八月 (25)
2016 七月 (25)
2016 六月 (30)
2016 五月 (29)
2016 四月 (24)
2016 三月 (25)
2016 二月 (20)
2016 一月 (28)
2015 十二月 (31)
2015 十一月 (28)
2015 十月 (24)
2015 九月 (14)
2015 八月 (8)
2015 七月 (11)
2015 六月 (24)
2015 五月 (26)
2015 四月 (28)
2015 三月 (30)
2015 二月 (25)
2015 一月 (31)
2014 十二月 (28)
2014 十一月 (30)
2014 十月 (31)
2014 九月 (29)
2014 八月 (30)
2014 七月 (29)
2014 六月 (29)
2014 五月 (30)
2014 四月 (28)
2014 三月 (30)
2014 二月 (27)
2014 一月 (29)
2013 十二月 (30)
2013 十一月 (27)
2013 十月 (31)
2013 九月 (30)
2013 八月 (1)
所有文章列表
文章搜尋
新聞交換(RSS)
誰來我家
QR Code
POWERED BY
(登入)
關閉視窗